1 Introducción

El procesado de composites en autoclave ha sido una de las tecnologías claves en la fabricación de estructuras de material compuesto de alta calidad para el sector aeronáutico. Sin embargo, se requiere de la incorporación y adaptación de tecnologías que reduzcan los costes de producción y consumo energético, tiempos de ciclo y altos requerimientos en infraestructura de producción en autoclave [1]. Los procesos de inyección de resina (LCM) como el RTM (Resin Transfer Moulding) y VI (Vacuum Infusion) están ganando atención debido a la obtención de composites de alta calidad, a un menor coste y con una mayor productividad. [2]

La tecnología RTM en particular, presenta ventajas respecto al uso de pre-pregs, como la reducción directa de costes en proceso por su bajo consumo energético, reducción de tiempo de procesado y exposición de volátiles, obteniendo, igualmente, composites con alto contenido en fibra. También ofrece ventajas en el incremento del volumen de producción y la posibilidad de incluir variaciones del proceso que se acoplen a las necesidades de una industria en particular [3] [4] [5]. Este proceso requiere una alta inversión inicial en materia de moldes y utillajes, tiene tiempos de llenado de cavidad elevados y, en función de la variante del proceso, el contenido de poros en el composite puede ser alto. El sector aeronáutico acepta un contenido máximo de porosidad de un 2% [6] [7] [8].

El proceso RTM (Figura 1) requiere de un molde cerrado, el cual proporciona un buen acabado superficial en ambas caras. Se emplean tejidos secos, que se impregnan con resinas de baja viscosidad. Se comienza con la construcción de la preforma, en donde los tejidos secos son posicionados sobre el utillaje, utilizando en ocasiones, “binders” termoplásticos o solubles en matriz. El binder permite la adaptación de la preforma a la geometría de la pieza, prescindiendo el mecanizado posterior para tener pieza acabada (net-shape). Se cierra molde, donde se compacta la preforma y se aplica presión de vacío. La resina es inyectada a presiones positivas bajas (1 a 8 bares) y una vez curada, se extrae la pieza a la temperatura requerida por la resina utilizada.

Draft Compuestos 342345323-image5-c.png
Draft Compuestos 342345323-image6-c.png
Figura 1. Procedimiento de inyección por RTM.


La tecnología RTM incluye una etapa de corte y apilamiento de tejido, previa a la inyección de resina. La construcción de la preforma es la clave para obtener composites de alta calidad mecánica. Por ello, es necesario seleccionar una alternativa en función de las posibilidades que ofrece el mercado, estrategia de solapes, binder, gap, automated fiber arrangament, etc. para cumplir con las especificaciones mecánicas deseadas. En general la construcción de preformas se realiza con tejidos planos que posteriormente deben adaptarse a formas tridimensionales, lo que puede generar imperfecciones dentro de la preforma (gaps, ondulaciones, arrugas, dobleces, etc.) [9] [10]. El empleo de binder termoplástico, -es una alternativa para la reducción de defectos en la preforma. No obstante, dependiendo de su naturaleza pueden afectar las propiedades mecánicas del componente final [11, 12].

Otra alternativa para la fabricación de preformas es el diseño de solapes entre los diferentes tejidos. Si el composite es de grandes dimensiones o posee una geometría compleja, no es posible obtener su preforma en una sola pieza, perdiendo así la continuidad en el refuerzo. Actualmente no existen normativas relacionadas con el uso de solapes para la fabricación de preformas, siendo los fabricantes de composites los que poseen la experiencia en el diseño y fabricación de preformas con solapes. Todos los factores anteriormente mencionados, características de los materiales, la tecnología de fabricación y know-how hacen que la construcción de la preforma sea una etapa crítica en la fabricación de composites de altas prestaciones por RTM.

2 Materiales y trabajo experimental

2.1 Materiales

Para la fabricación del componente aeronáutico, se empleó un tejido NCF de fibra de carbono de 400 g/m2 (Saertex) en un laminado quasi-isotrópico, combinando capas biaxiales de 0, 90, 45 y -45 grados y una resina en base epoxi, Hexcel Hexflow RTM6, especialmente formulada para procesos de inyección de resina, ampliamente utilizada en la industria aeronáutica.

2.2 Definición de estrategias de fabricación

La geometría corresponde a una costilla en forma de U del fuselaje del avión de 2.300 mm de longitud. La dirección principal del laminado sigue la curvatura de la pieza, es decir la dirección radial de la costilla.

Draft Compuestos 342345323-image7.png
a
Draft Compuestos 342345323-image8.png
b


Figura 2. Configuración para la geometría de análisis. a) Demostrador final. b) Componente preliminar con el sistema de coordenadas radiales que se usó para hacer el laminado.

Previo al demostrador validador de la tecnología, se fabricaron 3 prototipos para evaluar las estrategias propuestas de construcción y consolidación de preforma. Las preformas a estudio fueron: Preforma sin solapes utilizando un adhesivo convencional para laminados (Airtech Airtac 2); preforma sin solapes utilizando un binder termoplástico (EMS Griltex CE 20 P82 80-200 µm); y una preforma con solapes por empalmes (Splice overlap), cumpliendo con la normativa aeronáutica.

2.3 Planteamiento experimental y validación

Con el fin de validar la calidad de los prototipos, se llevaron a cabo los siguientes análisis no destructivos.

2.3.1 Inspección visual

Las piezas fabricadas fueron examinadas visualmente para identificar defectos o irregularidades superficiales generadas durante el proceso de fabricación, el proceso de inyección o durante el curado del composite.

2.3.2 Inspección por ultrasonidos (UT)

La inspección no destructiva (NDI) del composite se efectuó mediante la técnica C-Scan y con el equipo UT Phase-Array Olympus OmniScan MX2, palpador Olympus 5.0L64-NW1 de 5 MHz y una zapata Olympus SNW1-0L-IHC. La técnica implementada es pulse-eco mediante inspección manual. Los parámetros del proceso utilizados para la inspección fueron: velocidad del material 3.088 m/s, resolución de 1, no fueron aplicados filtros y la inspección se realizó a 16 mm/s. La evaluación de los resultados y establecimiento de criterio de aceptación se basó en normativa relacionada para el sector aeronáutico [13] [14].

2.3.3 Análisis dimensional

Se tomaron espesores en la sección central de las piezas y las paredes verticales. La tolerancia definida en las superficies planas fue de un 7% en la variación de espesor y de un 10 % para los radios. El equipo de metrología utilizado para dicha inspección fue un 3D001 Global 12.22.10.

3 Resultados y discusión

3.1 Definición de estrategias para la construcción de preformas de tejido de refuerzo continuo (sin solapes)

3.1.1 Construcción de la preforma de tejidos de continuo (sin solapes)

Considerando las dimensiones de la pieza y excedente, se construyó una preforma rectangular que, posteriormente, fue adaptada a la curvatura final de la pieza. Estas preformas están sobredimensionadas para evitar afectaciones por pérdida de hilos en la pieza de composite. Se aplicó una cantidad mínima de adhesivo para facilitar el posicionamiento de las capas. Paralelamente, se definió una estrategia de vacío para consolidación de la preforma capa-capa con el objetivo de maximizar la compactación (proceso de debulking).

Desde la construcción de la preforma se observó que, dependiendo de la orientación de las fibras, algunas capas oponían más resistencia a adaptarse a la geometría (0/90). Los tejidos orientados a 45 grados presentaron mejor drapabilidad, facilitando la orientación a la curvatura.

Draft Compuestos 342345323-image9-c.png
Figura 3. Movimiento de preforma debido a la curvatura de la geometría. Tejido visible (0/90).

En algunas zonas se observaron ondulaciones del tejido, principalmente por el arrastre de la preforma en el momento de cerrar el molde. (Figura 4)

Draft Compuestos 342345323-image10.png
Figura 4. Ondulación de tejidos debido a cerrado de molde.

3.1.2 Construcción de la preforma con solapes

Teniendo en cuenta la geometría de la pieza y la drapabilidad del tejido, se planteó una estrategia de solapes con longitudes de preforma de 500 mm, con el fin de tener tramos pequeños en donde la curvatura fuera mínima y reducir así la resistencia del tejido a deformarse. Esta estrategia tuvo en cuenta las siguientes consideraciones:

  • Ancho de solapes de 25 mm- Tramo de preforma de 500 mm,
  • Los solapes en una misma posición (eje Z) deben mantenerse, al menos, a 4 capas de separación,
  • La separación entre solapes es de al menos 25 mm.

Durante el proceso de fabricación de la preforma, se comprobó que el tamaño del tramo era lo suficientemente drapeable para acoplarse a la curvatura del componente. Los tramos de preforma se deforman menos que en el caso del refuerzo entero, minimizando así, lo cambios de permeabilidad en la preforma y favoreciendo la etapa de llenado.

En contraposición, se observó un sobre-espesor por la acumulación de solapes en un mismo punto del laminado (eje Z). Este sobre-espesor disminuye la permeabilidad de la preforma, pudiendo perjudicar el frente de flujo durante la etapa de llenado.

3.1.3 Construcción de la preforma con binder termoplástico

Esta estrategia de preforma sigue las mismas directrices que la configuración inicial, cambiando el adhesivo por binder termoplástico. La ventaja es que se pueden obtener preformas con geometrías muy similares a la disposición final, facilitando su manipulación (Figura 5) [15]. El inconveniente principal es que, en función de la naturaleza química del binder, se pueden alterar las propiedades mecánicas del componente final. [16].

La calidad y cantidad de binder puede generar deformaciones permanentes en la preforma debido a que, la consolidación de esta, se realiza aplicando calor y vacío.

Draft Compuestos 342345323-image11.png
Figura 5. Preforma después de consolidación con el método de binder termoplástico.

3.1.4 Comparación de los tres tipos de preformas construidas

Para evaluar la compactación y la porosidad de las preformas fabricadas se realizaron mediciones inspecciones no destructivas por ultrasonidos (Figura 6).

Draft Compuestos 342345323-image12.png
a
Draft Compuestos 342345323-image13.png
b
Draft Compuestos 342345323-image14.png
c
Figura 6. a) Inspección UT preforma entera. b) Inspección UT preforma con solapes. c) Inspección UT preforma con binder.


Los prototipos con solapes y binder presentan una elevada atenuación y modificación de la señal de lectura. Sin embargo, para atenuaciones a 18 dB, no se observa el mismo comportamiento. La preforma con binder presenta acumulación de atenuaciones en la zona central. En el caso de solapes, la atenuación es muy controlada, coincidiendo en una zona donde se ubican dos solapes en el mismo eje Z. Este sobre-espesor origina una menor permeabilidad, pudiendo dificultar la etapa de impregnación. El C-scan de la preforma con binder muestra mayor heterogeneidad, lo que indica una menor compactación del laminado y posible contaminación del tejido. Por otro lado, El C-scan de la preforma entera, en comparación a los otros dos prototipos, muestra una menor atenuación del eco de fondo, sobre 12 dB.

Los resultados de la inspección por ultrasonidos indican que la preforma entera es la que presenta una menor atenuación, seguida de la de solapes donde la atenuación es una zona muy concreta, coincidiendo con cúmulo de tres solapes en el eje Z.

Teniendo en cuenta los resultados obtenidos en cada estrategia de construcción, se determinó que para la fabricación del composite se escogería la estrategia de solapes sin el empleo de binder, así se evitarían los defectos encontrados en la preforma, minimizando el número de solapes a 2 en la dirección Z.

3.2 Construcción y evaluación del demostrador en tamaño real

Debido a las dimensiones del componente, se definió una estrategia específica para la construcción de preforma. Por un lado, se fabricaron varios patrones en los cuales se marcaban el inicio y final de cada solape por capa del laminado, utilizando como guía visual, un láser de señalización de la dirección principal de la fibra (Figura 7).

Draft Compuestos 342345323-image15.jpeg Draft Compuestos 342345323-image16.jpeg
a b


Figura 7. Metodología empleada para construcción de preforma. a) Marcado de inicio y final de solape, b) Guiado de laminado mediante láser.

Debido a la acumulación de solapes se observa un incremento del espesor del laminado, por lo que es determinante la aplicación de vacío. El proceso de debulking ayuda a maximizar la compactación de las diferentes capas de tejido y minimizar así el sobre-espesor de las zonas donde existe el solape. El mismo sistema de cierre de molde comprimió la preforma y los solapes, sin detectar problemas en la etapa de inyección.

3.2.1 Inspección visual

Gracias a la metodología implementada (patrones y láser) se pudo comprobar que no había desviaciones significativas en cuanto al posicionado de los tramos de las preformas y movimiento de preforma en la curvatura de la geometría. En algunos puntos se detectaron ciertas ondulaciones en las zonas de los radios, así como porosidades puntuales en zonas determinadas.

Draft Compuestos 342345323-image17.jpeg
Figura 8. Desmoldeo de demostrador final.
a
Draft Compuestos 342345323-image18.png
b Draft Compuestos 342345323-image19.png

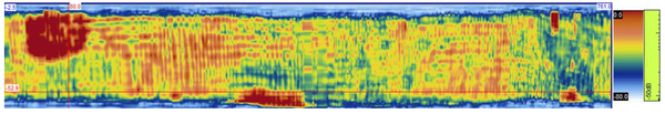
Figura 9. C-Scan Demostrador final aplicando criterio de aceptación para TRL 6-7 (Criterio Interno). Comparación con criterio TRL 1-5 (Criterio interno).


3.2.2 Inspección por ultrasonidos

Siguiendo los parámetros de inspección anteriormente descritos, y aplicando un criterio de aceptación para una pieza demostrador de TRL 6-7, se encontró que la estrategia de solapes no genera dificultades en la impregnación durante la etapa de llenado de molde. No hay atenuación excesiva de la señal en las zonas de sobre-espesor, aunque existen puntos concretos donde se llega a sobrepasar. Sin embargo, el área de atenuación no es representativa en el total de la pieza. (Figura 8).

3.2.3 Análisis dimensional

. Draft Compuestos 342345323-image20.png
Figura 10. Montaje de medición para demostrador final. (Cortesía Hexagon M.I).

A partir del CAD 3D del componente, se realizó la inspección del demostrador. Se midió espesores de las 3 caras del frame, angularidad de las paredes verticales, espesor en radios, planitud y paralelismo, ancho de pieza y radios de paredes. Con respecto a las medidas de espesores, en general, se puede afirmar que la pieza se encuentra dentro del criterio establecido. Sin embargo, se detectó que, en las zonas cercanas a los radios, el espesor es ligeramente menor (3 décimas), pudiendo indicar una sobre-compactación del tejido por el cerrado del molde o por posibles estiramientos del tejido en los radios en el momento de cierre. Por otro lado, no hay variaciones en los radios, salvo en algún punto en particular donde no se considera representativo. Con respecto a la angularidad, las paredes verticales se encuentran dentro del criterio (± 1º), manteniéndose en 90º. No se reportan incidencias sobre ancho altura y paralelismo de pieza.

4 Conclusiones

En este trabajo se efectuaron variaciones de parámetros para la construcción de una preforma de tejido seco para un proceso de inyección de resina RTM. Estos parámetros fueron el tamaño de capa, la utilización de solapes (variación de tamaño de capa) y la utilización de binder termoplástico para la consolidación de la preforma. Con este estudio se pudo concluir que el tamaño de la capa o tramo utilizado tiene afectación en la drapabilidad del tejido, ya que en la preforma entera se encontraron problemas para adaptarla a la curvatura, y que finamente se apreció después de desmoldear la pieza en la inspección visual. Por otro lado, la utilización del binder tuvo como ventaja poder obtener preformas muy cercanas a la forma final del composite pero que, por el contrario, representa mayor contaminación del tejido mediante un agente externo pudiendo, además, afectar negativamente a las propiedades mecánicas de la pieza final. En la preforma con solapes, existe la posibilidad de modificar la permeabilidad del tejido por la acumulación de solapes en el eje Z. Sin embargo, no se encontró ningún tipo de dificultad ni defecto en la impregnación de esta preforma. En el demostrador final se aplicó la estrategia de solapes sin la utilización de binder. No hubo problemas al momento de la inyección por diferencias de permeabilidad. Mediante la inspección NDT de la pieza se pudo comprobar que no hay defectos importantes en la inspección visual, ultrasonidos y análisis dimensional. La estrategia de debulking también ayudó en gran medida a compactar y posicionar el tejido en el molde.

Con este estudio se comprueba que una buena estrategia en el diseño y construcción de la preforma es determinante en la fabricación de composites por RTM.

El diseño de una preforma adecuada para una geometría compleja, la selección de un tejido drapeable y la introducción de solapes son parámetros claves para evitar desviaciones en el posicionado de las fibras en el molde, garantizando así, alcanzar las propiedades mecánicas establecidas para el laminado seleccionado. Además, la utilización de o de agentes externos como el binder termoplástico puede repercutir en la calidad del composite. Sin embargo, no se descarta el empleo de binders solubles en matriz que ayudarían a manipular más fácilmente la preforma dentro de molde sin afectar a las propiedades del composite.

Agradecimientos

El agradecimiento a la convocatoria Clean Sky 2 por el soporte para llevar a cabo esta investigación.

5 Bibliografía

[1] S. Hernández, F. Sket, C. González y J. Llorca, «Optimization of curing cycle in carbon fiber-reinforced laminates: Void distribution and mechanical properties,» Composites Science and Technology, vol. 85, pp. 73-82, 2013.
[2] P. Wang, S. Drapier, S. Molimard, A. Vautrin y J. C. Minni, «Characterization of Liquid Resin Infusion (LRI) filling by fringe pattern projection and in situ thermocouples,» Composites: Part A, vol. 41, pp. 36-44, 2010.
[3] M. Baskaran, I. Ortiz de Mendibil, M. Sarrionandia, J. Aurrekoetxea, J. Acosta, U. Argarate y U. Chico, «Manufacturing cost comparison of RTM, HP-RTM and CRTM for an automotive roof,» de ECCM16 - 16th European Conference on Composite Materials, Seville, 2014.
[4] E. Poodts, G. Minak, L. Mazzocchetti y L. Giorgini, «Fabrication, process simulation and testing of a thick CFRP component using the RTM process,» Composites: Part B, vol. 56, pp. 673-680, 2014.
[5] D. Abraham, S. Mattews y R. Mcllhagger, «A comparison of physical properties of glass fibre epoxy composites produced by wet lay-up with autoclave consolidation and resin transfer moulding,» Composites: Part A, vol. 29A, pp. 795-801, 1998.
[6] M. Bodaghi, C. Cristóvão, R. Gomes y N. C. Correia, «Experimental characterization of voids in high fibre volume fraction composites processed by high injection pressure RTM,» Composites: Part A, vol. 2016, pp. 88-99, 2016.
[7] T. Okabe, Y. Oya, G. Yamamoto, J. Sato, T. Matsumiya, R. Matsuzaki, S. Yashiro y S. Obayashi, «Multi-objective optimization for resin trasfer molding process,» Composites: Part A, vol. 92, pp. 1-9, 2017.
[8] B. Yang, T. Jin, F. Bi, Y. Wei y J. Li, «Influence of fabric shear and flow direction on void formation during resin tranfer molding,» Composites: Part A, vol. 68, pp. 10-18, 2015.
[9] L. Laberge and P. Trudeau, "Preforming of a Fuselage C-Shaped Frame Manufactured by Resin Transfer Molding," SAE International, vol. 6, 2013.
[10] C. Kracke, A. Nonn, M. Nebe, E. Schmidt, S. Bickerton, T. Gries y P. Mitschang, «Interaction of textile variability and flow channel distribution systems on flow front progression in the RTM process,» Composites: Part A, vol. 106, pp. 70-81, 2018.
[11] R. Chaudhari, «Characterization of high-pressure resin transfer molding process variants for manufacturing high-performace composites,» Fraunhofer Institut für Chemische Technologie ICT, 2013.
[12] U. Beier, J. K. W. Sandler, V. Altstädt, H. Spanner y C. Weimer, «Mechanical performace of carbon fibre-reinforced composites based on stitched and bindered preforms».
[13] Airbus, Airbus Test Method for Inspection Processes Ultrasonic pulse-echo inspection of carbon fibre plastics, 2013.
[14] Airbus, Airbus Test Method For Inspection Processes Non Destructive Inspection of Composite Parts, 2011.
[15] R. W. Hillermeier, T. Hasson, L. Friedrich y C. Ball, «Advanced thermosetting resin matrix technology for next generation high volume manufacture of automotive composite structures,» de SAE World Congress & Exhibition, Detroit, 2013.
[16] U. Beier, J. Sandler, V. Altstädt, H. Spanner y C. Weimer, «Mechanical performace of carbon fibre-reinforced composites based on stitched and bindered preforms,» Composites Part A: Applied Science and Manufacturing, vol. 40, nº 11, pp. 1756-1763, 2009.
[17] Airbus, AITM Airbus Industrie Test Method Analysis of non metallic materials (uncured) by Differential Scanning Calorimetry, 1995.
Back to Top

Document information

Published on 21/06/22
Accepted on 18/06/22
Submitted on 18/06/22

Volume 05 - Comunicaciones Matcomp19 (2021), Issue Núm. 3 - Procesos de Fabricación – Materiales Funcionales., 2022
DOI: 10.23967/r.matcomp.2022.06.025
Licence: Other

Document Score

0

Views 66
Recommendations 0

Share this document

Keywords

claim authorship

Are you one of the authors of this document?